Oreo - FULLY RECOVERED AND READY FOR ADOPTION
12.02.19: Fully recovered and ready for adoption!
Rescued from Avda. Miguel Hernández in Dénia 2 months ago, can you offer him a new forever home?
Here we show you how well he is already doing. We have called him OREO. He is very well recovered from his ordeal and is just about back to a completely normal life. He has a very good at character, is friendly and sweet, that's why we do not want to return him to the street . We must give him the opportunity to find a loving family who will adopt him and take care of him, like he deserves. Please help us spread the word, so that as many people as possible share this story and we can give Oreo a happy ending!
**A big thank you**
The operation and care for Oreo has cost us just over 300 €. Thank you to everyone who donated for his operation and recovery. We raised a total of 795 € - wonderful! With the rest we can help other cats in our care.
24.12.18
Latest pictures of the cat from his foster home. He is recovering beautifully after the operation. Thank you very much to all of you who make the work of Aldea Felina possible, so we can help you. We reached our target to pay for the operation! Thank you to everyone who donated - you are fantastic!
21.12.18
Thank you very much for your collaboration helping this cat. Surely we achieve our goal in the coming days. At the moment the cat has already had his operation and is doing well!
14.12.18
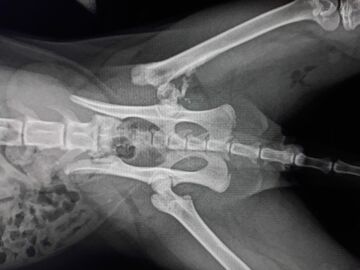
Urgency before Christmas! We have picked up this young cat from the colony next to the Mercadona Avda. Miguel Hernández. The poor boy has had an accident and now he has a fracture in his hind leg, as seen on the x-ray. It needs to be operated on to get him back on track and it will cost 200 euros! Please help us raise that money as soon as possible. Thank you
Banco Sabadell, Els Poblets
Asociación Protectora Animales Aldea Felina Dénia
IBAN: ES20 0081 1142 9900 0119 5725
BIC: BSAB ESBB XXX

